25 Acres of Land with Two Building Lots in Stockbridge

USD $295,000
0 Glendale Road, Stockbridge, Massachusetts, 01262, USA

Property Highlights

  • 25 acres in desirable Stockbridge area
  • Two separate building lots available
  • Large flat wooded area ideal for building
  • Potential for mountain views with clearing
  • Close to Stockbridge Bowl and Tanglewood
  • Access to second lot via right of way

Overview

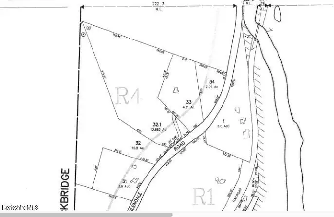
25 ACRES - TWO BUILDING LOTS - STOCKBRIDGEBeautiful 25 Acres in desirable Stockbridge. Quick access to Stockbridge Bowl, Tanglewood, the villages of Stockbridge Lenox and Housatonic. The property consists of two separate building lots - the south lot, has 12.56 acres, and the north lot has 12.66 acres. At the top of the driveway for the north lot is a large, flat, wooded area that offers many different building site opportunities. The south lot is steeper, but does have a small flat section at the end of the driveway for a potential building site. Build on the north lot and keep the south lot for extra acreage, or build an additional dwelling on the south lot as a guest house or to sell. Potential for mountain views from both lots with some clearing. Access to the south lot is via a right of way through the north lot. Katie Williams, kw@stonehouseproperties.com413-329-7538STONE HOUSE PROPERTIES, LLC
Show More Show Less

Property Features

0 Glendale Road, Stockbridge, Massachusetts, 01262, USA offers the following features:

Property Type: Land
Status: Active
Reference ID: 245211

Map