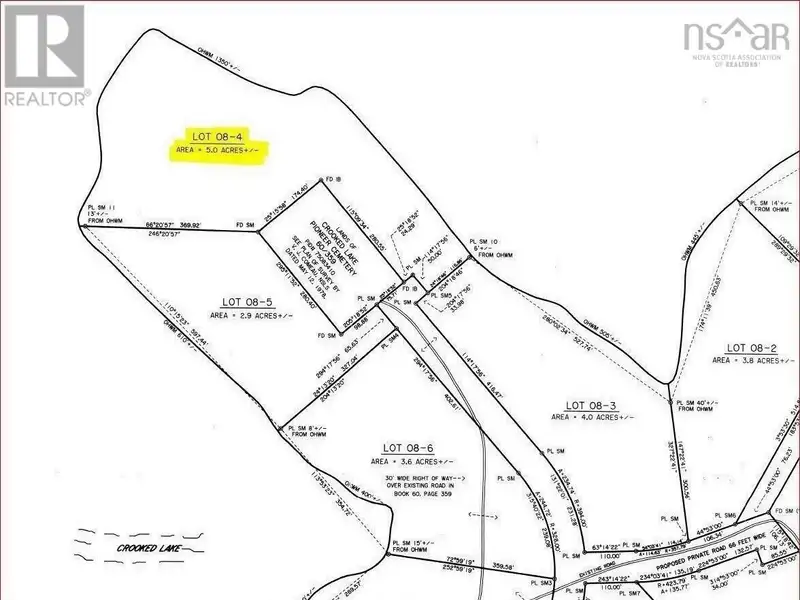
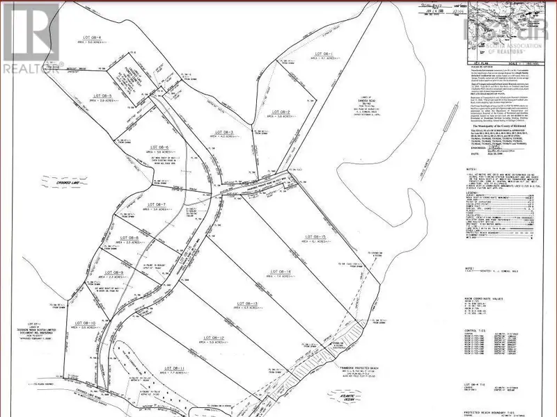
Private 5-acre Lakefront Retreat with Adventure Potential

Price Upon Request
Framboise, Nova Scotia, B2J 1C4, Canada

Property Highlights

  • 5 acres of private lakefront land
  • 1350 feet of freshwater shoreline
  • Secluded, off-grid property
  • Near Morrison (Framboise) Beach
  • Access to Framboise River for paddling
  • Treed with hardwood and softwood bush

Overview

Discover the ultimate private retreat on 5 acres of pristine land, boasting 1350 feet of shoreline on a freshwater lake at the end of Cemetery Rd, Crooked Lake. Perfect for fishing, ATV adventures, and any nature enthusiast, this secluded property offers an off-grid lifestyle, as electricity is not nearby. Just minutes away, explore Morrison (Framboise) Beach, one of Cape Breton's hidden gems of sandy shores at the end of Crooked Lake Rd. It's Beautiful!! Alternatively, paddle from your property to the Framboise River, where you can journey miles upstream, around lakes, or even cross into the ocean. The land is registered, and NS Environment comments the lot is suitable for on-site sewage (permit required). *Shown in Listing Pictures* Current Benefit Right-Of-Way Deeded Access for "existing road", please see listing pictures for more information. For full listing details with drone footage go to Realtor.ca MLS#202421000 Latitude/Longitude (copy paste into browser to see on maps >) 45.702490°, -60.341591° (id:2494)


Property Details

ID: 27346502

Features: Treed, Hardwood bush, Softwood bush

Location Description: Fleur-de-lis Trail/St Peters Fourchu Rd to Crooked Lake Rd in Framboise, heading to the ocean on Crooked Lake Rd, from just before you get to the beach, turn left, one-way dirt road. Drive to the end, park to the right. Look for the sign. Using Google Maps - Latitude/Longitude 45.702490°, -60.341591°

Price: 54,500

Transaction Type: For sale

View Type: Lake view

Water Front Type: Waterfront on lake

Building

Utility Water: None

Land

Size Total: 5 ac

Size Total Text: 5 ac

Acreage: TRUE

Sewer: No sewage system

Size Irregular: 5

Parking

Name: None

Show More Show Less

Property Features

Framboise, Nova Scotia, B2J 1C4, Canada offers the following features:

Property Type: Residential For Sale
Status: Active
Reference ID: 18653-202421000

Map